Wilderness Surveying, Inc. Clients
Through the years, we have been fortunate to work with great clients throughout Northern Wisconsin. This page will highlight some of those clients and the projects we were lucky enough to be able to participate in.
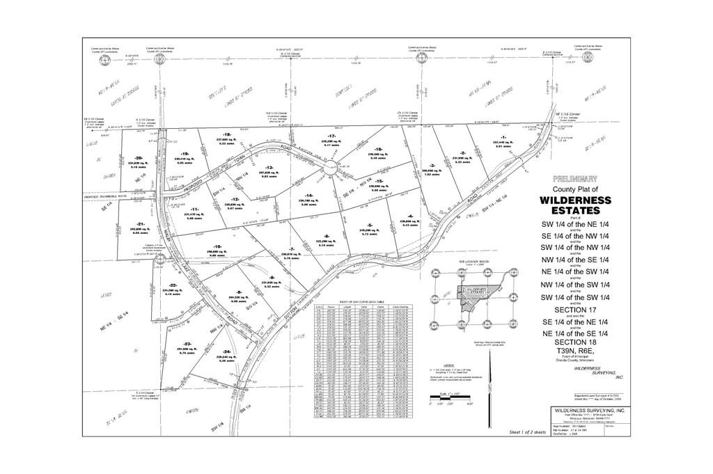
Gerald Kozey- Sutton Rd.
This project started back in early 2008 and represents many of the different services as well as map styles that we offer: This is a very large piece of property so REZONING of this property was one of the first steps in pursuing the goal of subdividing into smaller lots. Next we broke down different exhibits, showing new road locations throughout this site. We have since completed the SUBDIVISION portion of this project.
Pristine Waters Preserve - Minocqua / Hazelhurst
Located only 8 miles from Downtown Minocqua, truely unique lots settled into a nature preserve.
John & Anne Nesgaard - Carlson Bros Subdivision
To the staff, office and field crew of Wilderness Surveying, Thanks so much for the wonderful service provided by your team. They are professional, precise, competent and personable. It is a comfort knowing your survey has been done right. When we asked around about who is the best, Wilderness was mentioned. We definitely agree and will spread the word. Great Job! John and Anne Nesgaard - Birch Lake
